Así será la nueva área comercial 'León este': 18.500 metros con gasolinera, bricolaje, súper (Mercadona) y zona de restauración
El desarrollo de la nueva gran área comercial en el alfoz de León avanza en su tramitación administrativa con un paso decisivo: el proyecto se encuentra actualmente en fase de exposición pública, lo que permitirá su análisis, alegaciones y posterior aprobación definitiva.
Se trata de una de las mayores actuaciones comerciales previstas en el entorno de la capital leonesa en los últimos años y está promovida por la empresa Bogaris, responsable también del cercano parque comercial de La Granja. La iniciativa supone, en la práctica, el gran salto comercial del municipio de Villaquilambre, especialmente en el ámbito de Villaobispo de las Regueras.
Un complejo de más de 18.500 metros cuadrados comerciales
El futuro parque comercial contará con una superficie edificada total que ronda los 15.700 metros cuadrados destinados a actividad económica, dentro de un desarrollo global que alcanza los 18.500 metros cuadrados de implantación comercial.
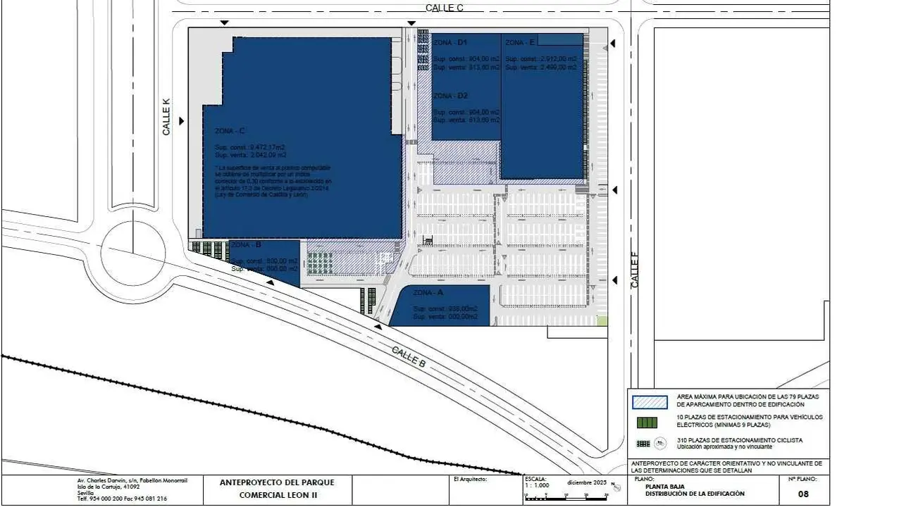
El proyecto se articula como un gran equipamiento colectivo con diferentes usos: bricolaje: 9.472 m²; alimentación: 2.912 m² (con previsión de operador principal como Mercadona); equipamiento personal y del hogar: 1.808 m²; restauración: 938 m² y gasolinera: 600 m²
Todo ello se completará con espacios auxiliares como almacenes, oficinas, vestuarios y zonas de servicio, configurando un área comercial integral.
Cuatro zonas diferenciadas y un gran aparcamiento común
El diseño contempla la construcción de cuatro áreas edificatorias independientes, organizadas en torno a un gran aparcamiento en superficie de uso compartido:
Zona A: edificio rectangular en el oeste de la parcela
Zona B: pieza trapezoidal en el extremo noroeste
Zona C: gran nave central de formato cuadrado, eje del complejo
Zonas D y E: dos edificios adosados en el sector sureste
Las edificaciones serán de una sola planta, con estructuras porticadas de hormigón o acero de grandes luces, siguiendo el modelo de parque comercial ya implantado en La Granja.
La orientación principal de los edificios estará dirigida hacia la ronda Este LE-20, una de las vías con mayor intensidad de tráfico del área metropolitana, lo que refuerza su visibilidad y accesibilidad.
Frente a La Granja: un desarrollo “gemelo”
Uno de los aspectos más relevantes del proyecto es su ubicación estratégica: se levantará a escasos metros del actual centro comercial de La Granja, también desarrollado en su día por Bogaris.
De hecho, el planteamiento es replicar el esquema de éxito del parque existente, configurando un complejo “gemelo” que prácticamente duplicará la oferta comercial del entorno. La nueva área se situará “frente por frente” respecto al complejo actual, al otro lado de la ronda.
Este modelo permitirá consolidar un gran nodo comercial en el este del área metropolitana de León, capaz de atraer operadores nacionales e internacionales.
Inversión millonaria y horizonte 2029
La inversión prevista ronda los 30 millones de euros, incluyendo tanto la construcción de las superficies comerciales como la urbanización completa del sector.
El calendario que maneja la promotora fija el horizonte de apertura en torno al año 2029, condicionado al avance de la gestión urbanística por parte de la junta de compensación y el Ayuntamiento de Villaquilambre.
Empleo y dinamización económica
El impacto del proyecto será significativo en términos laborales y económicos: 300 empleos directos estimados, actividad durante la fase de obras e incremento de ingresos municipales (ICIO, IAE, IBI).
Además, el desarrollo reforzará el tejido económico de Villaquilambre, posicionándolo como uno de los municipios con mayor dinamismo comercial del entorno leonés.
Villaquilambre, nuevo epicentro comercial
La puesta en marcha de esta segunda gran área comercial marca un punto de inflexión para Villaquilambre, que pasa a liderar el crecimiento comercial del área metropolitana ante la falta de suelo disponible en León capital.
El entorno de Villaobispo se consolida así como un enclave estratégico, apoyado en la alta capacidad de la ronda Este y en la proximidad a la ciudad.
Un polo comercial en expansión
Con este proyecto, el eje de La Granja evolucionará hacia uno de los mayores polos comerciales de la provincia, ampliando la oferta existente —donde ya operan grandes firmas— y generando un efecto tractor sobre nuevas inversiones.
La exposición pública del proyecto abre ahora una fase clave para su desarrollo definitivo, en una actuación llamada a transformar el mapa comercial del entorno de León en la próxima década.
